Offerte Sky
Cosa vedere:
  • Serie e show
  • Sky & Netflix
  • Cinema
  • Sport
  • Calcio
  • Sport & Calcio
  • Offerta Prova 30 giorni
Come vederlo:
  • Il decoder Sky Stream
  • La smart TV Sky Glass
Online con Sky:
  • Sky Mobile
  • FIBRA SKY WIFI
Sky TG24 le ultime notizie di oggi, l'ultima ora e le ultimissime news aggiornate in tempo reale.
Sky TG24 Insider
  • X FACTOR 2025
  • ucraina
  • Medio Oriente
  • MANOVRA
  • Sky TG24 Insider
  • Spettacolo
Cronaca Economia Mondo Politica Spettacolo Diretta TG24 Lifestyle Sport Salute e benessere Motori Tecnologia Scienze Ambiente News dalle citta Oroscopo Estrazioni Lotto e Superenalotto Meteo Podcast Video Voice Sky TG24 Insider La nostra app Sky Sport XFactor MasterChef Pechino Express Archivio Mappa del sito Chi siamo Notifiche

uragani

L'uragano Maria tocca Porto Rico e l'isola resta al buio

Mondo

L’allerta resta alta nei Caraibi per il passaggio della perturbazione che si muove verso...

20 set - 23:00

I Caraibi si preparano all'uragano Maria

Mondo

La perturbazione si sta spostando in queste ore e si teme possa centrare in pieno Porto...

19 set - 08:45 13 foto

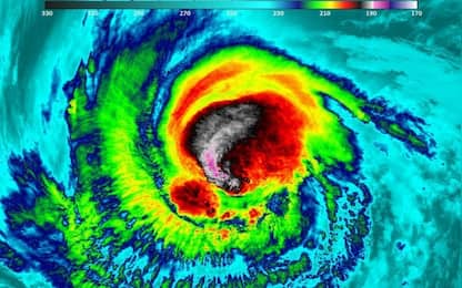
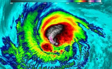
L'uragano Maria torna categoria 5: massima allerta nei Caraibi

Mondo

Il ciclone sta seguendo lo stesso percorso di Irma, che solo pochi giorni fa ha provocato morti e...

19 set - 07:24

Uragano Irma: ad Haiti villaggi allagati

Mondo

La perturbazione si è abbattuta anche sul Paese, ma in modo più lieve rispetto ad alcune isole...

09 set - 12:56 9 foto

Come vengono scelti i nomi degli uragani

L'opinione di

Federica Scutari

Il percorso dell'uragano Irma: la mappa interattiva

Mondo

Mentre il bilancio di morte e distruzione dell'uragano Irma continua a salire, si moltiplicano...

07 set - 13:12

L’uragano Irma si abbatte sui Caraibi

Mondo

Sale il numero dei morti, la maggior parte a Saint Martin/Sint Maarten. Case distrutte in diverse...

07 set - 08:50 18 foto

Come si calcola la categoria degli uragani: la scala di Saffir-Simpson

L'opinione di

Federica Villa

  • 1
  • ...
  • 8
  • 9
  • 10
pubblicità
  • sky sport
  • sky tg24
  • sky video
  • sky arte
  • sky tv
  • sky apps
  • Now
  • sky bar
  • spazi sky
  • Programmi
  • gestione cookie
  • cookie policy
  • note legali
  • Dichiarazione di accessibilità
  • Offerta Sky Media
  • corporate
accedi a sky go logo-sky-go

Per il consumatore clicca qui per i Moduli, Condizioni contrattuali, Privacy & Cookies, informazioni sulle modifiche contrattuali o per trasparenza tariffaria, assistenza e contatti. Tutti i marchi Sky e i diritti di proprietà intellettuale in essi contenuti, sono di proprietà di Sky international AG e sono utilizzati su licenza. Copyright 2025 Sky Italia - Sky Italia Srl  Via Monte Penice, 7 - 20138 Milano P.IVA 04619241005. SkyTG24: ISSN 3035-1537 e SkySport: ISSN 3035-1545. Segnalazione Abusi