Pompei, scoperto un grande complesso termale privato negli scavi della Regio IX

Lifestyle

La diretta connessione degli spazi termali alla grande sala conviviale lascia intuire quanto la casa romana si prestasse ad essere un vero e proprio palcoscenico per sontuosi banchetti. “Nella società di allora si trattava di occasioni preziose per il proprietario di casa per affermare il proprio status sociale" spiega il direttore del Parco archeologico Gabriel Zuchtriegel

ascolta articolo

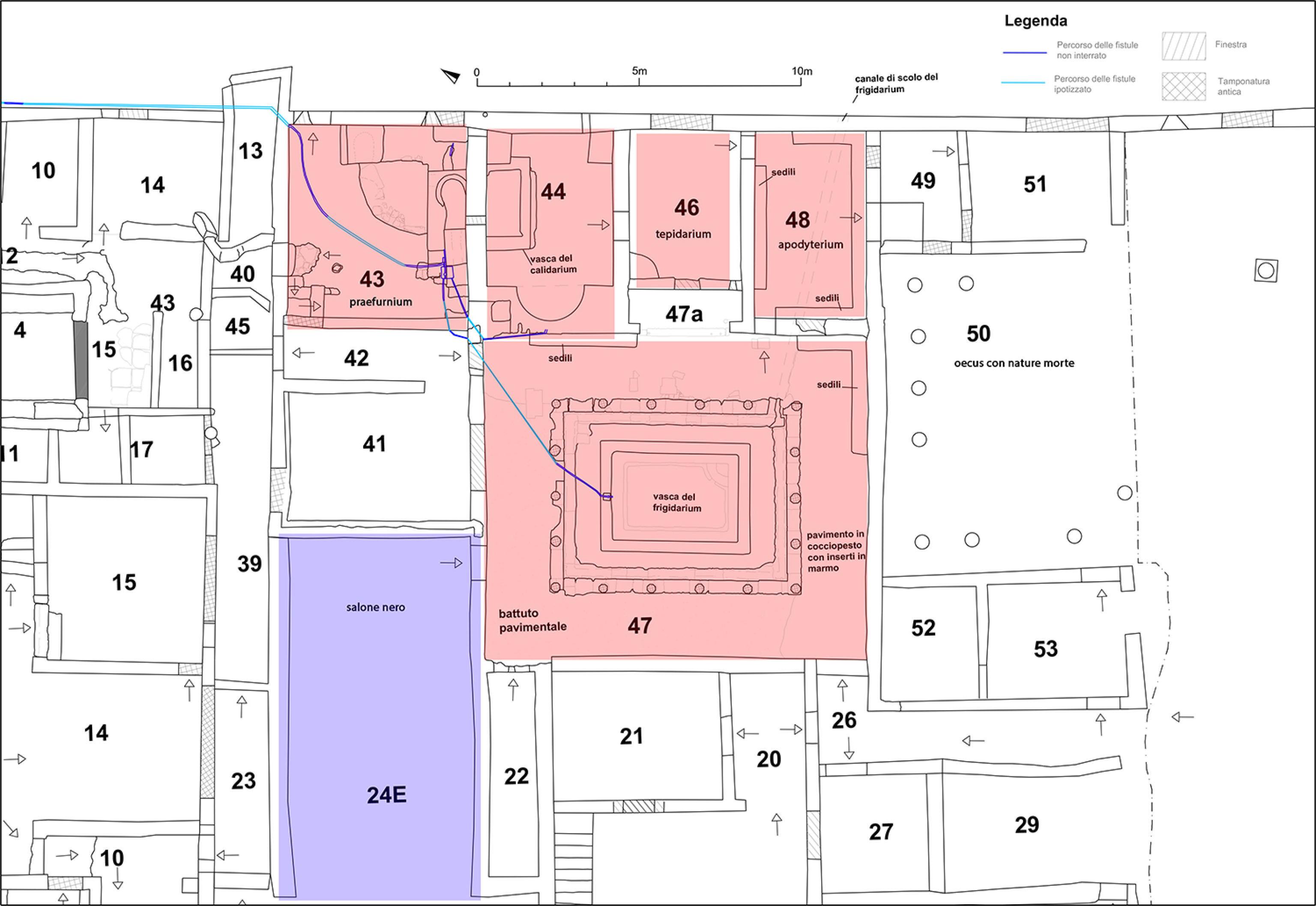
È stato scoperto un grande complesso termale all'interno di una domus privata, a Pompei. È emerso durante un cantiere di scavo in corso nell'insula 10 della Regio IX.  Il complesso rientra tra i più grandi e articolati settori termali, privati, finora noti nelle domus pompeiane in luce. A Pompei esistono pochi altri esempi di queste dimensioni, tra questi le terme dei Praedia di Giulia Felice, quelle della Casa del Labirinto e della Villa di Diomede. Le terme, composte da calidarium, tepidarium, frigidarium, sala calda, tiepida e fredda, e spogliatoio, apodyterium, potevano accogliere fino a trenta persone a giudicare dalle panchine presenti in quest’ultimo ambiente. Di grande effetto è la sala fredda, composta da un peristilio, ovvero una corte porticata di dimensioni 10x10 metri, al cui centro si trova una grande vasca.

Lo status sociale

Annesso al complesso termale, si trova un salone per banchetti che richiama quelli descritti nel “Satyricon” di Gaio Petronio Arbitro, il cosiddetto “salone nero”, già emerso e reso noto qualche mese fa. Il complesso, ha annunciato con un comunicato il direttore del Parco archeologico di Pompei Gabriel Zuchtriegel, rientra tra i più grandi e articolati settori termali privati finora noti nelle domus pompeiane in luce. La diretta connessione degli spazi termali alla grande sala conviviale lascia intuire quanto la casa romana si prestava ad essere un vero e proprio palcoscenico per sontuosi banchetti. “Nella società di allora avevano una funzione non limitata a ciò che oggi definiremmo 'privata' in senso stretto” ha spiegato Zuchtriegel “al contrario, si trattava di occasioni preziose per il proprietario di casa per assicurarsi il consenso elettorale dei propri ospiti, per promuovere la candidatura di amici o parenti, o semplicemente per affermare il proprio status sociale”.

Terme vicino alla sala dei banchetti come nel Satyricon

La scelta di collocare il complesso vicino al grande triclinio, sala per banchetto, ricorda il Satyricon, il romanzo di Gaio Petronio Arbitrio, nel quale il ricco liberto Trimalcione celebra la sua famosa cena ambientata in una città campana del I secolo d.C., una realtà non lontana dalla Pompei antecedente l'eruzione del 79 d.C. L'intera domus occupava la parte sud dell'insula 10, e doveva appartenere a un personaggio importante della società locale, infatti, le pareti decorate in II e III Stile pompeiano, testimoniano che la domus si porta dietro una storia rilevante. Si presume che chi possedeva questa dimora doveva appartenere all'élite della città nei suoi ultimi decenni di vita “Il tutto era funzionale alla messa in scena di uno spettacolo, al cui centro stava il proprietario stesso”, sottolinea il direttore Gabriel Zuchtriegel.

Approfondimento

Scuola, latino alle medie e poesie a memoria: le novità

Gli scavi

“Lo scavo degli ambienti in questione, ed in particolare del peristilio” aggiunge il Direttore dei lavori, Anna Onesti “è avvenuto grazie ad una modalità di esecuzione innovativa, che ha consentito di raggiungere il piano pavimentale evitando lo smontaggio degli elementi architettonici instabili del colonnato”. L'utilizzo di una struttura di supporto transitoria ha permesso di scavare l'intero colonnato lasciando le porzioni murarie al proprio posto. Il complesso rimarrà a presidio del sistema della trabeazione, ossia della struttura orizzontale che viene retta dalle colonne, fino ad un nuovo progetto di restauro architettonico.

La pianta della domus privata dell'insula 10, Regio IX

La domus

L'ingresso principale della domus era a sud, qui era probabilmente collocato un atrio, dal quale si giungeva ad un grande peristilio, giardino colonnato, che occupa quasi l'intera larghezza dell'isolato e di cui si intravedono le parti superiori delle colonne angolari, non ancora scavate. Su un lato del peristilio si aprivano una serie di vani. Da ovest a est si trovano un grande oecus, ovvero un ambiente di soggiorno decorato in II stile; un corridoio; un piccolo ambiente decorato in IV stile e un oecus corinzio circondato da 12 colonne, in è presente un ciclo pittorico di II stile che attualmente è ancora in corso di scavo. Infine il fregio presenta composizioni di nature morte che rappresentano la cacciagione e i prodotti della pesca, offerti al godimento degli ospiti durante i banchetti.

Lifestyle: I più letti